Listing provided courtesy of Jennifer Serna of Willow & Birch Realty, Inc. Last updated . Listing information © 2025 Sandicor.
Asking Price: $325,000
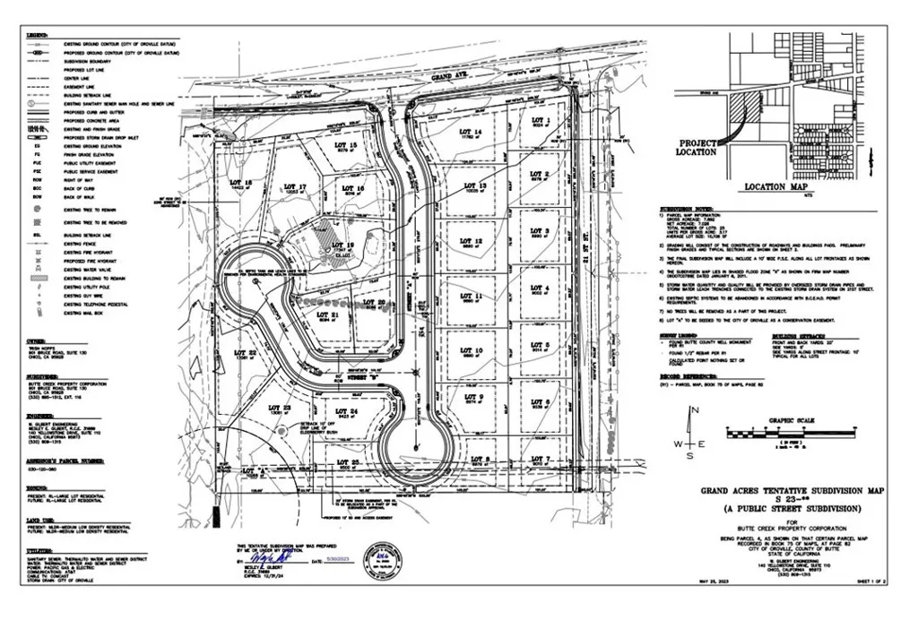
2151 Grand, Oroville CA 95965
Community:
This Lot property was built in and is priced at $325,000. Please see the additional details below.
New Price on this Prime Development Opportunity: 7.6 Acre Parcel with Approved Subdivision Map. Unlock the potential of this prime parcel, perfectly poised for development in a highly sought-after location. This property comes with a finalized subdivision map consisting of 24 approved lots, ready for manufactured or single-family homes, each with the option for accessory dwelling units (ADUs). Nestled in a growing community with high demand for housing in the Thermalito Irrigation District this parcel is perfect for a local contractor or developer looking to capitalize on the growing housing market. Essential utilities are already accessible at the corner of the parcel, streamlining the development process. Dont miss this rare opportunity to develop a prime piece of real estate with significant earning potential. Contact us today to schedule a viewing and explore the possibilities. Environmental survey and engineering estimates available.



















